Unmeaning Flattery
www.UnmeaningFlattery.com

Home | Blog | Search | RSS | Contact

"Too Late To Evacuate Now"

Sunday 08/28/2005 9:25 PM

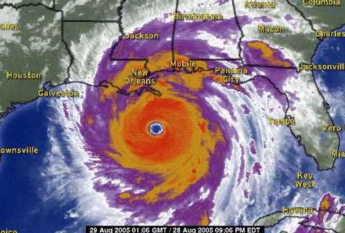
That's what the governor of Mississippi said on TV just a few minutes ago. If you're still in New Orleans or any of the coastal areas in the target zone, you better slip your life insurance policy in a waterproof bag and head for higher ground. And if you kept your dog or cat with you to see it through, may God have mercy on your soul — because you won't be getting any from me.

Requisite link to my previous blog entry with my yellow sky Hurricane Ivan image.

When Candy and I first started dating, we talked about making our first trip together to New Orleans. Fifteen years later and we've been to Alaska, Prague and Vienna, but still no Big Easy. Looks like we missed out.

My friend, Charlie, splits his time between Tallahassee and New Orleans. I hope you're safe, buddy!

Your Link of the Day is a transcript from a PBS show a few years back where they talked about a category 5 hurricane hitting New Orleans.

Link of the Day: NOW with Bill Moyers. Transcript. The City in a Bowl. 9.20.02

File Under: Engstrom, Charles; Hurricane Katrina; Link of the Day; Weather

Permalink | Comments | Trackback

Previous Entry | Next Entry


©1969-2026 Peter Stuart Lakanen. All rights reserved.
Please report problems to webmaster.